神経外科の病気neurosurgery

神経外科とは、脳、脊髄、末梢神経、脊椎など神経系の領域に起こる病気を診断し、主に外科手術によって治療する専門分野です。神経外科では胸腰部椎間板ヘルニア、頸部椎間板ヘルニア、馬尾症候群、環軸亜脱臼、脊椎骨折、椎骨・脊髄・神経根の腫瘍などの外科的治療を行います。必要に応じて、適切な術後のリハビリをおこない回復期のサポートをいたします。

胸腰部椎間板ヘルニア

症状:腰背部の痛み、後肢の歩様失調(ふらつき)、後肢の麻痺、自力排尿困難

胸腰部椎間板ヘルニアとは

胸腰椎領域で椎間板の線維輪から脱出した椎間板物質等により、脊髄が圧迫されている状態です。痛みや神経症状をともないます。

好発犬種

ダックスが最も多い。他にペキニーズ、コーギー、ビーグル、プードルなど。ネコでも起こります。

診断

レントゲン検査、脊髄造影検査、CT検査、MRI検査

治療

Hemilaminectomyという片側の椎弓を切除し(背骨に窓をつくる)脱出した椎間板物質を取り除き減圧する手術などをおこないます。

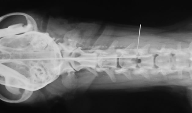
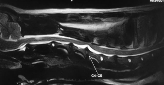
頸部椎間板ヘルニア

症状:何かの拍子にギャンギャン鳴く、頸部痛、四肢のふらつきや麻痺など

頸部椎間板ヘルニアとは

頸椎領域で椎間板の線維輪から脱出した椎間板物質等により、脊髄が圧迫されている状態です。痛みや神経症状をともないます。

好発犬種

ダックスが最も多い。他にビーグルなど。

診断

レントゲン検査、脊髄造影検査、CT検査、MRI検査

治療

Ventral Slotという頸椎の腹側に窓をつくり、脱出した椎間板物質を取り除き減圧する手術などを行います。

馬尾症候群

症状:背部痛、慢性的な後肢跛行、後肢の爪先をひきずる、段差の上り下りを嫌うなど

馬尾症候群とは

腰仙椎領域で肥厚した椎間板の線維輪などによって、神経根が圧迫されている状態です。痛みや神経症状をともないます。

好発犬種

シェパード、ラブラドールなど

診断

レントゲン検査、脊髄造影検査、CT検査、MRI検査

治療

Dorsalnectomyという腰仙椎に窓をつくり、神経根の圧迫を取り除く手術などをおこないます。

環椎軸椎不安定症など脊椎の不安定症

症状:頸部痛、後肢ふらつき、四肢麻痺

環椎軸椎不安定症など脊椎の不安定症とは、椎体間の不安定性によって直接的もしくは二次的に脊髄等が圧迫され、頸部痛や後肢ふらつき、四肢麻痺などの神経症状を引き起こした状態です。環椎軸椎不安定症はチワワ、ヨーキー、トイプードル、ポメラニアン、ペキニーズなど小型犬種で多い。ウォーブラー症候群はドーベルマン、グレートデン、マスチフなどで多い。診断はレントゲン検査、CT検査、MRI検査などでおこないます。治療は不安定な椎体間を安定化させる手術をおこないます。それぞれの原因によって手術方法は異なります。

脊椎骨折、脱臼

症状:腰背部の痛み、前肢と後肢もしくは後肢の歩様失調や麻痺

頸椎、胸椎、腰椎、仙椎の骨折や脱臼。多くは交通事故や高所からの落下などの外傷にともなって起こります。診断にはレントゲン検査、脊髄造影検査、CT検査、MRI検査などが必要です。骨折や脱臼が生じた部位や重症度によって手術方法は変わります。

腫瘍

症状:背部の痛み、慢性的な跛行、跛行肢の筋肉量減少、歩様失調

診断にはレントゲン検査、脊髄造影検査、CT検査、MRI検査などが必要です。椎骨・脊髄・神経根などに生じた腫瘍の摘出や生検をおこないます。腫瘍の種類に応じて、外科手術後の化学療法や放射線治療が必要になることがあります。